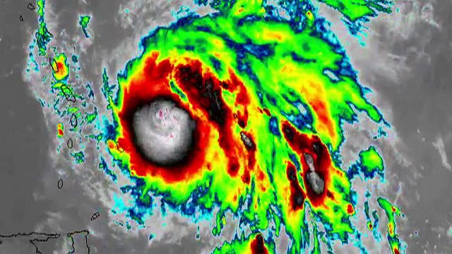
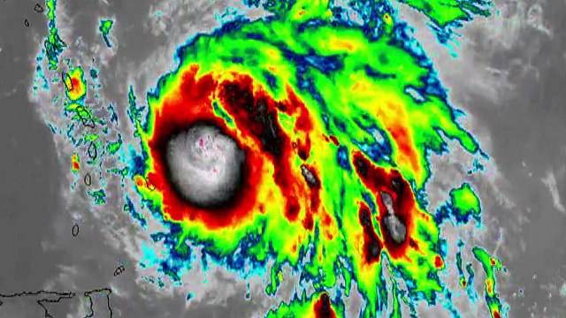
El “potencialmente catastrófico” huracán María se dirige a Puerto Rico

4 просмотров 22.02.2025 00:00:57

Комментарии

Теги:
“potencialmente, catastrófico”, huracán, María, dirige, Puerto, Rico