María “potencialmente catastrófico” toca tierra en Dominica

0 просмотров 19.09.2017 00:01:19

Описание

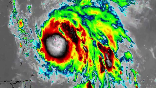
El huracán María de categoría 5, la más alta de la escala, tocó tierra el lunes en Dominica con vientos de 257 km/h y es clasificado por el Centro Nacional de Huracanes de Estados Unidos como “potencialmente catastrófico”.*** ATENCIÓN CLIENTES REVISAR DOPESHEET***

Комментарии

Теги:
María, “potencialmente, catastrófico”, toca, tierra, Dominica