Hurricanes Explained: How They Form & The Strongest Storms Ever!

75 просмотров 04.02.2025 00:02:54

Описание

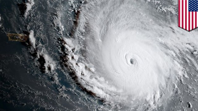
Hurricanes are among the most powerful and destructive natural disasters on Earth. But how do hurricanes form, and which storms were the most devastating in history? :tornado: In this video, we explore the science behind hurricane formation, from warm ocean waters to the Coriolis effect, and count down the top 5 most powerful hurricanes ever recorded! From Hurricane Katrina to Hurricane Patricia, see how these storms reshaped history. :fire: Top 5 Most Powerful Hurricanes: :keycap_5: Hurricane Katrina (2005) – $125 billion in damages :keycap_4: Hurricane Maria (2017) – Largest blackout in U.S. history :keycap_3: Hurricane Irma (2017) – One of the strongest Atlantic hurricanes :keycap_2: Hurricane Gilbert (1988) – 185 mph winds over the Caribbean :keycap_1: Hurricane Patricia (2015) – Record-breaking 215 mph winds! As climate change raises ocean temperatures, will hurricanes get even stronger? Location: London WooGlobe Ref : WGA274119 For licensing and to use this video, please email [email protected]

Комментарии

Теги:
Hurricanes, Explained, They, Form, Strongest, Storms, Ever