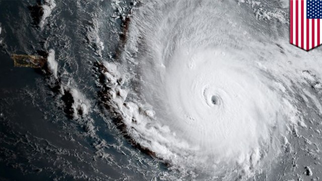
Hurricane Irma Now a Category 3, Could 'Re-Engergize' to Category 4

12 просмотров 10.09.2017 00:01:44

Описание

Subscribe please

Комментарии

Теги:
Hurricane, Irma, Category, Could, Engergize