Melissa Hurricane Live: Jamaica Faces Severe Storm, Rescue & Weather Alerts

1 просмотров 24.11.2025 00:01:00

Описание

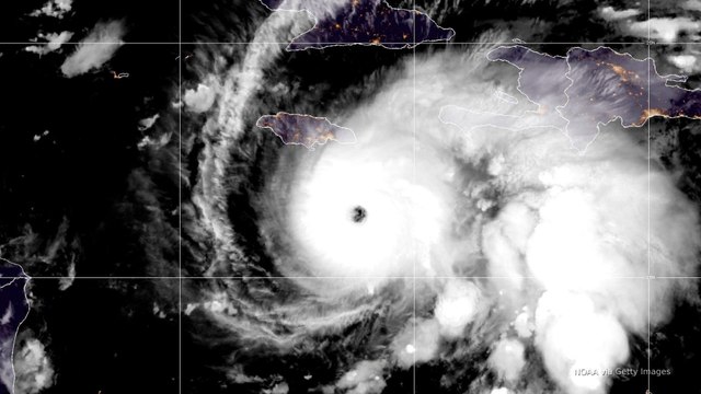
Melissa Hurricane Live: Jamaica Faces Severe Storm, Rescue & Weather Alerts Watch intense live coverage of Hurricane Melissa crashing into Jamaica. Exclusive on Rumble – eyewitness clips, rescue team responses, and extreme weather alerts. Share to spread awareness! hurricane melissa rumble, powerful storm jamaica, intense disaster scene, rescue mission on ground, live storm chase, rumble exclusive, terrifying storm footage, weather emergency now, massive wind damage, breaking storm video, jamaica hurricane strike, real time relief ops, survival challenge, extreme forecast, catastrophic weather Short video, Rumble short, Rumble News, Rumble Live news, trending, viral short, Breaking News, News, Letest News Live Update, Trending News live Update, The Trending News live, News, NEWS, BREKING, Podcast, 24x7, Politics, Live news today, FOX News live stream, 24/7 breaking news, Live US news, FOX News now, World news live, Real-time headlines, Political updates live, FOX live channel, Watch news online free, #StormChaser #RumbleExclusive #TerrifyingStorm #ExtremeDisaster #HurricaneMelissa #RescueOps #LiveNews #WindDamage #JamaicaUnderStorm #DisasterAlert #BreakingWeather #StormTracker #ExtremeConditions #CrisisNow #EmergencyResponse #short #shortvideo #rumbleshort #Breaking News #trending #viralshort #rumbleviral #RumbleNewsshort #viralshort #news #LetestNewsLiveUpdate #TrendingNewsLiveUpdate #TheTrendingNewslive #reels #fbreels #trendingreel #viralreel #LiveNews #BreakingNews #FOXNewsLive #24x7News #NewsLiveStream #bitchute #bitchuteshort #FoxLiveStream #WorldNews #USNews #WatchLive #LiveNow #delimitation #shortdelimitation #LiveBreakingNews #FoxHeadlines #PoliticsLive #FoxStream #shortvide #rumble #rumbleshort #News #NEWS #BREKING #Podcast #24x7 #Politics #Current #Events #short, #youtube #short #Headlines #Newsmax #Opinion #WashingtonDC #Congress #fbreels #viralreel #trendingreels

Комментарии

Теги:
Melissa, Hurricane, Live, Jamaica, Faces, Severe, Storm, Rescue, Weather, Alerts