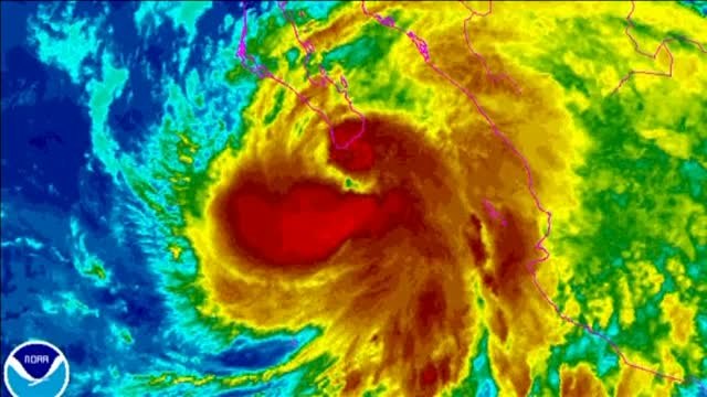
Tormenta tropical “Kristy” se forma al sur de las costas mexicanas; se esperan lluvias

2,563 просмотров 22.10.2024 00:00:39

Описание

¿No quieres perderte de nada? Suscríbete bit.ly/3qr0d27 Escúchanos en adn40.mx/adn40-radio Síguenos en todas nuestras redes: Facebook ️➡️ facebook.com/ADN40mx X ➡️ x.com/adn40 Instagram ️➡️ instagram.com/adn40mx TikTok ️➡️ tiktok.com/@adn40mx Spotify ➡️ spoti.fi/37IaOzA Toda la información ️➡️ adn40.mx/ No te pierdas la transmisión de noticias adn40 en vivo ➡️ youtube.com/watch?v=_No4YKXjsF4 Mientras otros quieren que los veas, nosotros ponemos la mirada en ti. #adn40 las noticias que van #SiempreConmigo

Комментарии

Теги:
Tormenta, tropical, Kristy, forma, costas, mexicanas, esperan, lluvias