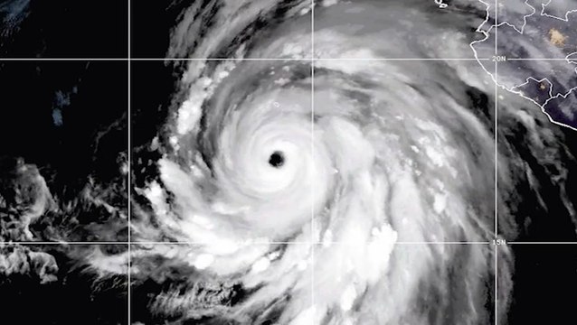
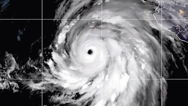
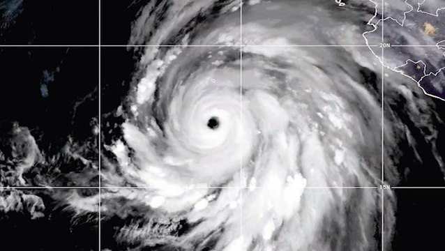
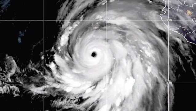
Amazing Satellite Time-Lapse Shows Hurricane Hilary Turning Into A Category 4 Storm

1,314 просмотров 24.12.2023 00:01:08

Описание

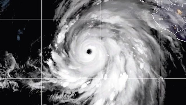
NOAA's GOES-East and GOES-West satellite captured imagery of Hurricane Hilary. Credit: Space.com | footage courtesy: CIRA/NOAA | edited by Steve Spaleta

Комментарии

Теги:
Amazing, Satellite, Time, Lapse, Shows, Hurricane, Hilary, Turning, Into, Category, Storm