Japon : le puissant typhon Neoguri frappe Okinawa

1 просмотров 08.07.2014 00:01:01

Описание

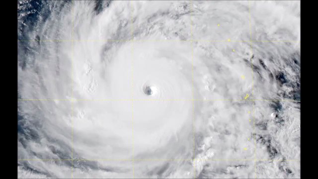
Les îles de l’extrême sud du Japon ont été balayées par des pluies torrentielles et des vents violents dépassant les 200km/h. D’un diamètre de plusieurs centaines de kilomètres, le typhon Neoguri remonte lentement vers le nord. Il devrait perdre de la vigueur tout en traversant la quasi-totalité du Japon d’ici la fin de la semaine. Les îles d’Okinawa ont été frappées de plein fouet ce mardi. Le typhon a fait un mort et des dizaines de blessés. Des vagues gigantesques ont empêché toute navigation, les vols au départ et à destination d’Okinawa ont été annulés. “Je ne peux pas rentrer”, explique cette femme, “tous les vols ont été annulés. J’ai prolongé mon séjour de deux nuits en attendant le passage du typhon”. Par précaution, les autorités ont appelé à l‘évacuation de près de 600 000 personnes. Des milliers de foyers sont privées d‘électricité et les réseaux de téléphonie mobile sont hors service dans plusieurs localités.

Комментарии

Теги:
Japon, puissant, typhon, Neoguri, frappe, Okinawa