Philippines typhoon Haiyan: Devastating pictures emerge

935 просмотров 09.11.2013 00:01:30

Описание

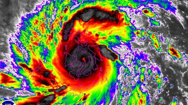
The central Philippine city of Tacloban appears to have suffered some of the worst of the damage super typhoon Haiyan has left in its path. Report by Brownl. Like us on Facebook at facebook.com/itn and follow us on Twitter at twitter.com/itn

Комментарии

Теги:
Philippines, typhoon, Haiyan, Devastating, pictures, emerge